BUY
買いたい
売 買物件詳細

東1条北2丁目 売土地

2,277万円
東1条北2丁目 売土地 外観
東1条北2丁目 売土地 間取り
物件No. 3825589
所在地 帯広市東一条北2丁目
築年月 -
種別/階数 土地
交通 JR根室本線(新得~釧路) 帯広駅 徒歩29分/十勝バス 【大川町】 徒歩3分
管理・共益費 -
修繕積立金 -
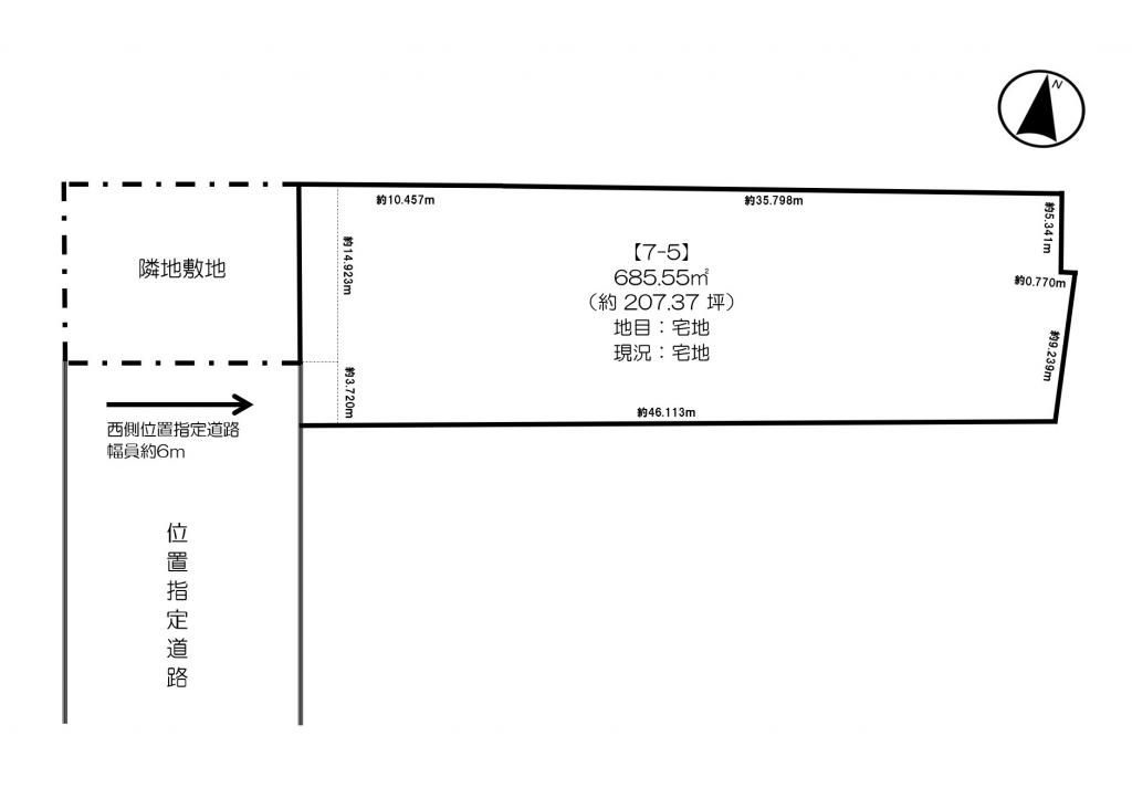
コメント ●東1条北2丁目・207.37の広々とした売土地☆
●マンション用地として最適☆
●花火大会も見られる閑静な住宅街☆
●徒歩約6分圏内にスポーツ施設あり☆
●十勝川まで徒歩約15分でお散歩コースに最適☆
※西側は一部、位置指定道路になっており約3.720m接道しております。
※土地所有者と企業側で土地賃貸契約を交わしており、敷地内に通信基地局がございます。こちらの権利は譲渡されます。土地貸借契約を解除されたい場合には、土地取得後にお手続きをお願いいたします。
※図面と現況に相違がある場合は現況を優先とします。
間取 -
所在階 -
総戸数 -
土地権利 所有権
用途/地目 第一種中高層住居専用地域/宅地
バルコニー面積 -
引渡 相談
取扱 ハウスドゥ帯広|ハウスドゥ 白樺通
仲介手数料 817,410円
学校区 東小学校/翔陽中学校
設備 -
専有面積 -
構造 その他
面積 土地/685.55㎡
建ぺい/容積 建ぺい率60% 容積200%
接道状況 西側私道3.72m
現況 更地
駐車場 無し
取引態様 媒介
管理会社 -
リフォーム -
備考 -

現在の公開物件数

賃貸2,416
テナント103
売買379
ページトップへ
メールでお問合せ
電話でお問合せ
LINEでお問合せ